Hala produkcyjno-magazynowa z biurami na Teofilowie 6110 m || Teo Park Wersalska ZOBACZ

Klimatyzowany lokal biurowy Łódź, Bałuty ul. Łagiewnicka || Biurowiec BCB ZOBACZ

M/S Factory Łódź || Hala produkcyjno-magazynowa z biurami 7785 m² w centrum Łodzi ZOBACZ

Szukaj
Zadzwoń do nas +48 534 580 003
Biuro, Inne

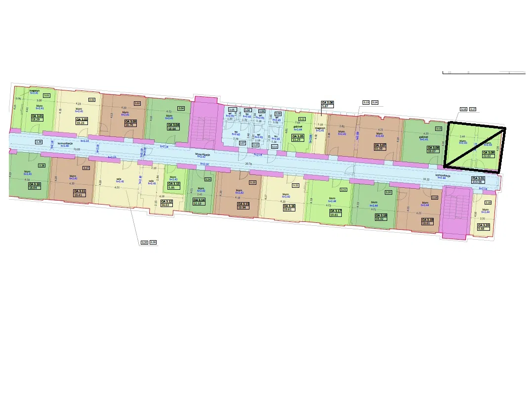
Do wynajęcia lokal biurowy 22 m² w budynku biurowym na Bałutach w Łodzi

W nieruchomości:

BCB - Biurowe Centrum Biznesu BCB - Biurowe Centrum Biznesu

Powierzchnia: 22 m²

Cena za m²: 20 zł

Zobacz rzut Pobierz ofertę

Lokal biurowy do wynajęcia Łódź – powierzchnia 22 m², biuro, kancelaria, gabinet

Oferujemy na wynajem funkcjonalny lokal biurowy o powierzchni 22,02 m², zlokalizowany na 3. piętrze budynku biurowego w Łodzi. To atrakcyjna propozycja dla osób poszukujących biura do wynajęcia, powierzchni biurowej pod działalność usługową, kancelarię, gabinet lub niewielkie biuro dla firmy.

Lokal idealnie nadaje się pod:

biuro rachunkowe lub księgowe
kancelarię prawną, podatkową lub doradczą
gabinet psychologiczny, doradczy lub konsultingowy
biuro dla freelancerów i małych firm
działalność usługową wymagającą przestrzeni biurowej

Opis lokalu biurowego
powierzchnia: 22,02 m²
jasne, dobrze doświetlone wnętrze
możliwość podziału na dwa pomieszczenia
ściany pomalowane na biało – gotowe do aranżacji
wykładzina dywanowa
oświetlenie LED
okna od strony zachodniej
dostęp do wspólnych sanitariatów na korytarzu

Budynek
recepcja dla najemców i klientów
monitoring obiektu
parking dla najemców i klientów
w budynku funkcjonują m.in.: bar, punkt ksero, gabinety lekarskie, gabinety kosmetyczne i fryzjerskie, kancelarie prawne i podatkowe oraz inne firmy usługowe
dogodny dojazd z różnych części miasta
blisko przystanki komunikacji miejskiej (tramwaje i autobusy)
rozwinięta infrastruktura handlowo-usługowa w sąsiedztwie
dobra lokalizacja dla firm poszukujących biura w Łodzi

Warunki najmu
cena najmu: 20 zł/m²
opłata eksploatacyjna (service charge): 20,48 zł/m²

Oferta stanowi idealne rozwiązanie dla przedsiębiorców poszukujących biura do wynajęcia w Łodzi, gotowego lokalu użytkowego lub powierzchni biurowej pod działalność usługową.

Niniejsze ogłoszenie ma charakter informacyjny i nie stanowi oferty w rozumieniu Kodeksu Cywilnego.

Masz pytania? Zapraszamy do kontaktu!

Aneta Połoczańska

Property manager

tel: 608 090 716

a.poloczanska@aia.pl

Anna Wesołowska

Obsługa Klienta

tel: +48 535 037 159

a.wesolowska@aia.pl

Helena Stępniak

Obsługa Klienta

tel: +48 608 090 786

h.stepniak@aia.pl


    BCB - Biurowe Centrum Biznesu

    Lokal znajduje się w:

    BCB - Biurowe Centrum Biznesu

    Łódź, Łagiewnicka 54/56

    Informacje o budynku

    Szybkie zapytanie

      Inne lokale w tej nieruchomości:

      Do wynajęcia lokal biurowy – ok. 39 m² – 8 piętro BCB - Biurowe Centrum Biznesu
      Łódź, Łagiewnicka 54/56

      Oferujemy lokal biurowy na wynajem w Łodzi o powierzchni 38,48 m², zlokalizowany na 8. piętrze w budynku biurowym z windą. […]

      Powierzchnia: 38.48 m²
      Stawka za czynsz: 22 zł/m²

      Do wynajęcia lokal biurowy – 19,44 m² – Łódź, Łagiewnicka 54/56 BCB - Biurowe Centrum Biznesu
      Łódź, Łagiewnicka 54/56

      Biuro do wynajęcia Łódź – 19,44 m² | funkcjonalny lokal biurowy Oferujemy na wynajem funkcjonalny lokal biurowy o powierzchni 19,44 […]

      Powierzchnia: 19,44 m²
      Stawka za czynsz: 20 zł/m²

      Do wynajęcia lokal biurowy – 120 m², Biurowe Centrum Biznesu BCB - Biurowe Centrum Biznesu
      Łódź, Łagiewnicka 54/56

      Oferujemy przestronny i funkcjonalny lokal użytkowy o powierzchni 120 m², zlokalizowany na parterze budynku przy ul. Łagiewnickiej w dzielnicy Bałuty (Marysin).

      Powierzchnia: 120 m²
      Stawka za czynsz: 30 zł/m²

      Do wynajęcia jasny lokal biurowy – ok. 22 m², 1. piętro BCB - Biurowe Centrum Biznesu
      Łódź, Łagiewnicka 54/56

      Do wynajęcia funkcjonalny lokal biurowy o powierzchni około 22 m², zlokalizowany na 1. piętrze budynku biurowego przy ul. Łagiewnickiej w Łodzi. Lokal posiada duże okna, które zapewniają dobre doświetlenie wnętrza, a położenie na pierwszym piętrze gwarantuje wygodny dostęp i komfort codziennej pracy. Atuty budynku: windy i wygodna komunikacja wewnętrzna, parking dostępny dla najemców i gości, dobra lokalizacja z szybkim dojazdem do centrum miasta i głównych tras. dogodne położenie w sąsiedztwie punktów handlowych oraz przystanków autobusowych i tramwajowych, co umożliwia szybkie przemieszczanie się po całej Łodzi. Warunki najmu: powierzchnia: ok. 22 m² piętro: 1 czynsz: 15 zł/m² Service chargé: 20,48 zł/m² Ogłoszenie ma charakter informacyjny i nie stanowi oferty w rozumieniu Kodeksu Cywilnego. Zapraszamy do kontaktu w celu umówienia prezentacji lokalu.

      Powierzchnia: 22 m²
      Stawka za czynsz: 15 zł/m²

      Do wynajęcia lokal biurowy o powierzchni 18 m² w Biurowym Centrum Biznesu w Łodzi BCB - Biurowe Centrum Biznesu
      Łódź, Łagiewnicka 54/56

      Lokal biurowy do wynajęcia – 18,29 m² | Łódź, ul. Łagiewnicka 54/56 | Biurowe Centrum Biznesu Oferujemy do wynajęcia funkcjonalny […]

      Powierzchnia: 18 m²
      Stawka za czynsz: 20 zł/m²

      Funkcjonalny lokal biurowy ok 18 m² Łódź BAŁUTY BCB - Biurowe Centrum Biznesu
      Łódź, Łagiewnicka 54/56

      Oferujemy lokal o powierzchni ok.18 m², położony na 8. piętrze biurowca przy ul. Łagiewnickiej w Łodzi.

      Powierzchnia: 18 m²
      Stawka za czynsz: 20 zł/m²

      Wynajem lokalu biurowego 31 m² z balkonem Łódź, ul. Łagiewnicka, Bałuty BCB - Biurowe Centrum Biznesu
      Łódź, Łagiewnicka 54/56

      Oferujemy do funkcjonalne biuro o powierzchni 31 m², zlokalizowane w biurowcu na Bałutach, przy ul. Łagiewnickiej. Lokal jest idealny dla […]

      Powierzchnia: 31 m²
      Stawka za czynsz: 20 zł/m²

      Biuro do wynajęcia – ok. 19 m², 2. piętro, BCB Łódź BCB - Biurowe Centrum Biznesu
      Łódź, Łagiewnicka 54/56

      Kameralne biuro w BCB – idealne miejsce dla małej firmy lub freelancera Do wynajęcia lokal biurowy o powierzchni 18,86 m², […]

      Powierzchnia: 19 m²
      Stawka za czynsz: 20 zł/m²

      Biuro do wynajęcia 38 m² ul. Łagiewnicka 54/56, Łódź BCB - Biurowe Centrum Biznesu
      Łódź, Łagiewnicka 54/56

      Biuro do wynajęcia – 38 m², 1. piętro, ul. Łagiewnicka 54/56, Łódź Do wynajęcia lokal biurowy o powierzchni 38 m², […]

      Powierzchnia: 38 m²
      Stawka za czynsz: 20 zł/m²

      Biuro 38 m² na czwartym piętrze BCB - Biurowe Centrum Biznesu
      Łódź, Łagiewnicka 54/56

      Funkcjonalne biuro z parkingiem i recepcją – BCB Łódź, 38 m² Na wynajem lokal biurowy o powierzchni 38 m², zlokalizowany […]

      Powierzchnia: 38 m²
      Stawka za czynsz: 20 zł/m²

      Wynajem biura ok. 20 m² – funkcjonalne i jasne, Łódź Bałuty BCB - Biurowe Centrum Biznesu
      Łódź, Łagiewnicka 54/56

      Jasne biuro ok. 20 m² na 6. piętrze – idealne miejsce do pracy w spokojnej części Łodzi Oferujemy do wynajęcia […]

      Powierzchnia: 19 m²
      Stawka za czynsz: 20 zł/m²

      Funkcjonalne biuro 22 m² Łódź Baluty BCB - Biurowe Centrum Biznesu
      Łódź, Łagiewnicka 54/56

      Wynajem biura 22 m² – jasne i komfortowe, lokalizacja Łódź Bałuty Oferujemy do wynajęcia lokal biurowy o powierzchni 20 m², […]

      Powierzchnia: 22 m²
      Stawka za czynsz: 20 zł/m²

      Wynajem komfortowego biura 18 m² ul. Łagiewnicka BCB - Biurowe Centrum Biznesu
      Łódź, Łagiewnicka 54/56

      Wynajem biura 18 m² – funkcjonalne i komfortowe, ul. Łagiewnicka, Łódź Oferujemy do wynajęcia funkcjonalny lokal biurowy o powierzchni 18 […]

      Powierzchnia: 18 m²
      Stawka za czynsz: 10 zł/m²

      Klimatyzowany lokal biurowy Łódź, Bałuty ul. Łagiewnicka BCB - Biurowe Centrum Biznesu
      Łódź, Łagiewnicka 54/56

      Wynajem jasnego, przestronnego i klimatyzowanego lokalu biurowego w Łodzi – ul. Łagiewnicka, Bałuty. Idealne miejsce na biuro w Łodzi Oferujemy […]

      Powierzchnia: 58 m²
      Stawka za czynsz: 20 zł/m²

      Biuro 130m² w centrum Łodzi BCB - Biurowe Centrum Biznesu
      Łódź, Łagiewnicka 54/56

      Przestronne biuro do wynajęcia w BCB – 130 m², 6. piętro Oferujemy lokal biurowy o powierzchni 130 m² w Biurowym […]

      Powierzchnia: 130 m²
      Stawka za czynsz: 21 zł/m²

      Biuro z klimatyzacją na Bałutach BCB - Biurowe Centrum Biznesu
      Łódź, Łagiewnicka 54/56

      Funkcjonalne biuro do wynajęcia – 57,5 m², Biurowe Centrum Łodzi Do wynajęcia lokal biurowy o powierzchni 57,5 m², zlokalizowany w […]

      Powierzchnia: 57,5 m²
      Stawka za czynsz: 25 zł/m²

      Magazyn w biurowcu Łódź-Bałuty 170m² BCB - Biurowe Centrum Biznesu
      Łódź, Łagiewnicka 54/56

      Wynajem przestronnego lokalu magazynowego – ul. Łagiewnicka, Bałuty, Łódź Oferujemy do wynajęcia przestronny lokal użytkowy o doskonałej lokalizacji w Łodzi, […]

      Powierzchnia: 170 m²
      Stawka za czynsz: 10 zł/m²

      Biuro 43m² z dobrym dojazdem BCB - Biurowe Centrum Biznesu
      Łódź, Łagiewnicka 54/56

      Lokal biurowy 43 m² do wynajęcia – 2. piętro – Biurowe Centrum Biznesu, Łódź Oferujemy wynajem funkcjonalnego lokalu biurowego o […]

      Powierzchnia: 43 m²
      Stawka za czynsz: 20 zł/m²

      Powierzchnia biurowo-usługowa z balkonami 32m² BCB - Biurowe Centrum Biznesu
      Łódź, Łagiewnicka 54/56

      Lokal klimatyzowany do wynajęcia – Biurowe Centrum Biznesu, ul. Łagiewnicka 54/56 Oferujemy wynajem lokalu biurowego z doskonałym dojazdem samochodem (bliskość […]

      Powierzchnia: 32 m²
      Stawka za czynsz: 20 zł/m²

      Wynajem sali konferencyjnej – Łódź Bałuty, ul. Łagiewnicka 54/56 BCB - Biurowe Centrum Biznesu
      Łódź, Łagiewnicka 54/56

      Sala konferencyjna – Łódź Bałuty, ul. Łagiewnicka 56 Zapraszamy do wynajmu przestronnej, klimatyzowanej sali konferencyjnej o powierzchni 50 m², idealnej […]

      Powierzchnia: 50 m²


      Grupa A&A - poznaj nas

      Zadzwoń do nas